Noticing tiny white bugs that fly up in a cloud every time you brush past a plant is a classic sign of Whiteflies on Plants. They suck sap, leave sticky honeydew, and can stunt or even kill stressed vegetables, ornamentals, and houseplants if you ignore them. This guide is for home gardeners who want practical, non-confusing solutions rather than jargon or harsh chemicals. You’ll learn how to confirm you’re dealing with whiteflies, which plants and conditions they prefer, and seven proven ways to knock them back—from soap sprays and neem oil to sticky traps, reflective barriers, beneficial insects, and last-resort systemics—plus prevention tips and common mistakes to avoid.
This topic is now fully covered in our complete guide here: Plant Pest Identification: Why 3 Bugs Love Your Plants
Table of Contents
In This Article
Understanding Whiteflies on Plants

Before jumping into treatment methods, it’s helpful to understand what you’re dealing with. Whiteflies might be called “flies,” but they’re more closely related to aphids and scale insects. These tiny pests are about 1/16 inch long and have white, powdery wings that give them their name.
Signs of Whitefly Infestation
Spotting whiteflies on plants early can save you a lot of trouble later. Here are the key signs to watch for:
The most obvious sign is seeing the actual bugs. When you gently shake or disturb an infected plant, you’ll notice small white insects flying up in a cloud. They look like tiny moths or dandruff flakes with wings. If you see this happening, you have whiteflies on plants.
Another telltale sign is the presence of sticky honeydew on your plant’s leaves. This clear, sticky substance is whitefly waste, and it can make your plant’s leaves feel tacky to the touch. The honeydew often attracts ants and can lead to sooty mold growth, which appears as black spots on leaves.
You’ll also notice your plant’s leaves starting to turn yellow, especially the older, lower leaves first. This yellowing happens because whiteflies on plants drain the sap, which contains all the nutrients your plant needs to stay green and healthy. As the infestation gets worse, leaves may start wilting and dropping off.
Finally, if your plants seem to have stopped growing or are growing much slower than usual, whiteflies might be the culprit. These pests can seriously stunt plant growth by stealing the energy plants need to develop new leaves and stems.
Why Whiteflies Attack Certain Plants
Understanding why whiteflies choose certain plants can help you protect your green collection. These pests aren’t picky eaters, but they do have preferences.
Whiteflies on plants tend to favor soft, tender growth over tough, waxy leaves. That’s why you’ll often see them on vegetables like tomatoes, peppers, and cucumbers, as well as flowering plants like geraniums and fuchsias. Indoor plants with soft leaves, such as hibiscus and poinsettias, are also common targets.
Environmental conditions play a big role in attracting whiteflies to plants, too. These pests love warm, humid conditions, which is why they’re often more of a problem in greenhouses, sunrooms, or homes with poor air circulation. If you keep your plants in a warm, stuffy room, you’re creating the perfect environment for whiteflies to thrive.
Whiteflies spread from plant to plant in several ways. Adult females can fly short distances to find new host plants, especially if they’re placed close together. They can also hitchhike on new plants you bring home from the garden center, which is why it’s always smart to quarantine new plants for a few weeks before adding them to your collection.
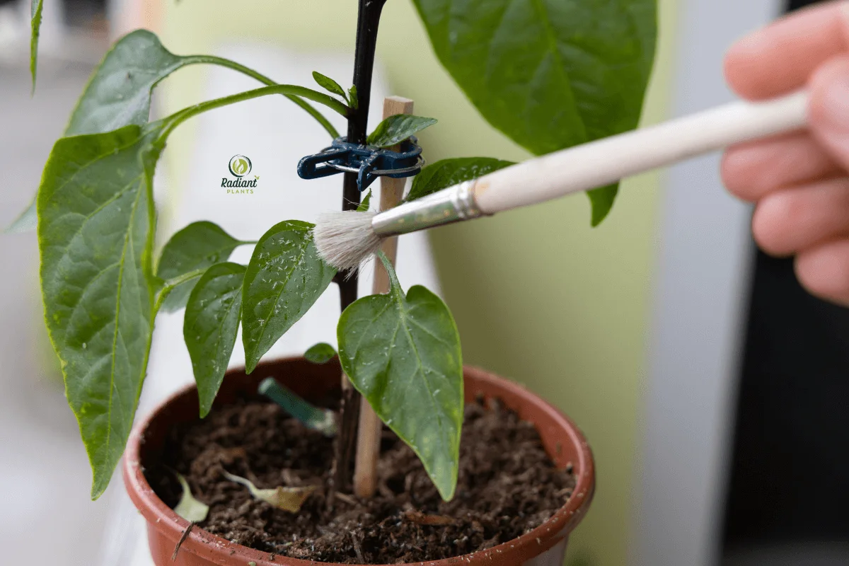
Method 1 – Insecticidal Soap Spray

One of the safest and most effective ways to deal with whiteflies on plants is to use insecticidal soap. This method is gentle enough for most houseplants but tough enough to eliminate these pesky insects.
How to Make Homemade Insecticidal Soap
Making your insecticidal soap is easy and costs much less than buying commercial products. You’ll need just two ingredients: pure liquid dish soap and water. The key is using the right type of soap – avoid anything with fragrances, degreasers, or moisturizers, as these can harm your plants.
Mix one to two tablespoons of pure liquid dish soap with one quart of lukewarm water. Stir gently to avoid creating too many bubbles. Some plant experts recommend adding a teaspoon of vegetable oil to help the solution stick to leaves better, but this is optional.
Always test your homemade spray on a small area of the plant first. Wait 24 hours to make sure the plant doesn’t show any signs of damage before treating the entire plant. Different plants have different sensitivities, so this test step is crucial for protecting your green friends.
Application Tips for Maximum Effectiveness
When treating whiteflies on plants with soap spray, thorough coverage is key. These bugs like to hide on the undersides of leaves, so make sure to spray both the tops and bottoms of all leaves. Use a spray bottle that creates a fine mist rather than large droplets.
Start spraying from the bottom of the plant and work your way up. This prevents the solution from washing off areas you’ve already treated. Pay special attention to new growth and the joints where leaves meet stems, as these are favorite hiding spots for whiteflies.
Don’t forget to spray the soil surface lightly, too. Whitefly eggs and pupae often develop in the top layer of soil, so treating this area helps break their life cycle. However, avoid soaking the soil, as too much soap can harm your plant’s roots.
Best Times to Apply Soap Treatment
Timing your soap spray application can make a big difference in how well it works against whiteflies on plants. The best time is early morning or late evening when temperatures are cooler and humidity is higher. This prevents the soap from drying too quickly and gives it more time to work.
Avoid spraying plants in direct sunlight or during the hottest part of the day. The combination of soap and intense sun can actually burn your plant’s leaves, causing brown spots and damage that’s worse than the original whitefly problem.
You’ll need to repeat the soap treatment every three to five days for about two weeks to catch newly hatched whiteflies. Adult whiteflies live for several weeks and lay eggs continuously, so persistence is key to breaking their life cycle completely.
Method 2 – Neem Oil Treatment

Neem oil is another excellent natural solution for controlling whiteflies on plants. This oil comes from the neem tree and has been used for centuries as a natural pesticide. What makes neem oil special is that it works in multiple ways to protect your plants.
Why Neem Oil Works Against Whiteflies on Plants
Neem oil is like a Swiss Army knife for pest control. It kills whiteflies on contact, but it also disrupts their life cycle by preventing eggs from hatching and stopping young whiteflies from developing into adults. This multi-action approach makes it incredibly effective for long-term control.
The oil also acts as a feeding deterrent. Even if whiteflies land on a neem-treated plant, they’re less likely to stay and feed because they don’t like the taste. This helps protect your plants from new infestations while you’re dealing with existing ones.
Another benefit of neem oil is that it’s systemic, meaning plants can absorb some of it through their leaves. This provides ongoing protection for several days after application, unlike contact sprays that only work when they directly hit the bugs.
Proper Dilution and Application Techniques
Getting the dilution right is crucial when using neem oil for whiteflies on plants. Most commercial neem oil products need to be mixed with water, typically at a rate of one to two tablespoons per quart of water. Always read the label on your specific product, as concentrations can vary.
Add a few drops of mild liquid soap to help the oil mix with water better. Without soap, the oil will separate and won’t distribute evenly on your plants. Shake the mixture well before and during application to keep everything combined.
Apply neem oil using the same thorough approach as soap spray. Cover all leaf surfaces, paying special attention to the undersides where whiteflies love to gather. The oil needs to make direct contact with the insects to be effective, so don’t skip any areas.
Frequency of Neem Oil Applications
For active whitefly infestations on plants, apply neem oil every seven to ten days. This schedule allows you to catch multiple generations of whiteflies as they hatch and develop. You should start seeing results within a few days, but complete control usually takes several weeks.
Once you’ve gotten the whitefly population under control, you can use neem oil monthly as a preventive treatment. This ongoing protection helps keep new whiteflies from establishing themselves on your plants.
Be patient with neem oil treatments. Unlike chemical pesticides that kill instantly, neem oil works more slowly but provides longer-lasting results. You might see some whiteflies for several days after treatment, but they’ll gradually decrease as the oil does its job.
Method 3 – Yellow Sticky Traps
Yellow sticky traps are a simple but effective tool for controlling whiteflies on plants. These traps work by taking advantage of whiteflies’ natural attraction to the color yellow, which they associate with young, tender leaves.
How Yellow Traps Attract Whiteflies
The science behind yellow sticky traps is pretty clever. Whiteflies on plants use color to find their preferred feeding spots, and they’re naturally drawn to yellow and green colors that signal fresh, young plant growth. When they see a bright yellow trap, they think they’ve found the perfect meal.
The sticky coating on these traps is usually made from a non-toxic adhesive that captures whiteflies when they land. Once stuck, they can’t escape, which helps reduce the overall population and prevents them from laying more eggs on your plants.
Yellow traps work best as part of a comprehensive treatment plan rather than as a standalone solution. They’re excellent for monitoring whitefly populations and catching adults before they can reproduce, but they won’t eliminate eggs or young whiteflies that are already on your plants.
Strategic Placement Around Affected Plants
Where you place your yellow sticky traps can make a big difference in how many whiteflies they catch. Position traps just above the canopy of affected plants, since adult whiteflies tend to fly upward when disturbed.
For potted plants, you can attach small traps to wooden stakes and insert them directly into the soil. This puts the traps right where whiteflies are most active. If you’re dealing with whiteflies on plants in a greenhouse or sunroom, hang larger traps from the ceiling or attach them to walls near affected plants.
Keep traps about 6 to 12 inches away from your plants. If they’re too close, you might accidentally catch beneficial insects that are helping control other pests. If they’re too far away, they won’t be effective at catching the whiteflies you’re targeting.
When to Replace Sticky Traps
Yellow sticky traps need regular replacement to stay effective. Once a trap is covered with insects, dust, or debris, it won’t catch new whiteflies effectively. Most traps should be replaced every two to four weeks, depending on how quickly they fill up.
If you’re dealing with a heavy whitefly infestation on plants, you might need to replace traps more frequently. A trap that’s catching lots of whiteflies is doing its job, but an overly full trap can repel insects rather than attract them.
Keep track of how many whiteflies you’re catching on each trap. This information helps you monitor whether your treatment program is working. You should see the numbers gradually decrease over time as your other control methods take effect.
Method 4 – Reflective Mulch Strategy
Using reflective mulch might sound unusual, but it’s a clever way to confuse and deter whiteflies on plants. This method works especially well for outdoor plants and can be adapted for indoor use, too.
Science Behind Reflective Surfaces
Whiteflies navigate using light patterns, and reflective surfaces can seriously mess with their ability to find and land on plants. When light reflects off aluminum or silver surfaces, it creates confusing patterns that make it difficult for whiteflies to orient themselves properly.
The reflected light also makes it harder for whiteflies on plants to distinguish between the sky and the ground, which disrupts their normal flying patterns. Instead of landing gracefully on your plants, they become disoriented and often fly away to find easier targets.
Research has shown that reflective mulches can reduce whitefly populations by up to 80% in some cases. The effect is strongest during the first few weeks after installation, but it provides ongoing deterrent benefits throughout the growing season.
Types of Reflective Materials to Use
Aluminum foil is the most common reflective material for controlling whiteflies on plants. You can use regular kitchen foil, but agricultural-grade reflective mulch is more durable and weather-resistant for outdoor use.
Silver plastic mulch is another excellent option that’s specifically designed for garden use. It’s more expensive than aluminum foil but lasts much longer and provides better coverage for larger areas.
For indoor plants, you can create reflective barriers using aluminum foil placed around the base of affected plants. Some plant lovers even use reflective emergency blankets, which are lightweight and easy to position around houseplants.
Installation Tips for Garden Areas
When installing reflective mulch around outdoor plants, timing is important. Put the mulch in place before whitefly populations peak, typically in late spring or early summer. This prevents them from establishing themselves on your plants in the first place.
Cut the reflective material to fit around your plants, leaving space for watering and growth. Secure the edges with soil, rocks, or landscape staples to prevent the material from blowing away in windy conditions.
For potted plants, you can create collars of reflective material that fit around the base of each pot. This method works well for both indoor and outdoor container plants and can be easily removed when you need to water or repot.
Method 5 – Beneficial Insects Release
Nature has its way of controlling whiteflies on plants, and you can harness this power by encouraging beneficial insects in your garden. This biological control method is safe, effective, and helps create a balanced ecosystem around your plants.
Ladybugs and Lacewings as Natural Predators
Ladybugs aren’t just cute garden visitors – they’re voracious predators that love to eat whiteflies. A single ladybug can consume up to 50 whiteflies per day, making them incredibly effective for biological pest control.
Green lacewings are another excellent ally in the fight against whiteflies on plants. Both adult lacewings and their larvae feed on whiteflies, aphids, and other soft-bodied pests. Lacewing larvae are particularly aggressive hunters and can clear out whitefly populations quickly.
Other beneficial insects that help control whiteflies include parasitic wasps, which lay their eggs inside whitefly larvae, and predatory mites that feed on whitefly eggs and young nymphs. These tiny helpers work around the clock to keep pest populations in check.
How to Attract Beneficial Insects Naturally
Creating a welcoming environment for beneficial insects is easier than you might think. Start by planting flowers that provide nectar and pollen for adult beneficial insects. Good choices include marigolds, sweet alyssum, dill, fennel, and yarrow.
Avoid using broad-spectrum pesticides, which kill beneficial insects along with the pests you’re trying to control. If you must use pesticides for whiteflies on plants, choose targeted treatments like insecticidal soap or neem oil that are less harmful to beneficial species.
Provide shelter for beneficial insects by maintaining some wild areas in your garden. Small brush piles, unmowed grass patches, and perennial flower beds give beneficial insects places to hide and overwinter.
Creating a Balanced Ecosystem
Building a balanced ecosystem takes time, but the results are worth the wait. Start by reducing your reliance on chemical pesticides and focus on creating diverse plantings that support many different types of beneficial insects.
Water sources are crucial for beneficial insects. A shallow dish of water with some pebbles for landing spots, or a small fountain, can attract and support the insects that help control whiteflies on plants.
Be patient with biological control methods. Unlike sprays that show immediate results, beneficial insects need time to establish populations and make a significant impact on pest numbers. However, once established, they provide ongoing, sustainable pest control.
Method 6 – Horticultural Oil Application
Horticultural oils offer another effective weapon against whiteflies on plants. These refined oils work by smothering insects and disrupting their life cycle, making them particularly useful for controlling all stages of whitefly development.
Different Types of Horticultural Oils
There are several types of horticultural oils available for controlling whiteflies on plants. Dormant oils are heavier and typically used on woody plants during their dormant season. Summer oils are lighter and can be used on actively growing plants without causing damage.
Petroleum-based oils have been used for decades and are very effective against whiteflies. However, plant-based oils like canola oil or soybean oil are becoming more popular because they’re more environmentally friendly and break down faster in the environment.
Superior oils are highly refined products that can be used year-round on most plants. They’re called “superior” because the refining process removes compounds that can harm plants, making them safer for regular use on sensitive species.
Safe Application Methods for Plants
When using horticultural oils for whiteflies on plants, proper dilution is crucial. Most oils need to be mixed with water at rates specified on the product label, typically ranging from 1-3 tablespoons per gallon of water.
Always add a small amount of emulsifier or use pre-mixed oil products to ensure the oil mixes properly with water. Pure oils and water don’t mix naturally, and poorly mixed solutions can damage plants or be ineffective against pests.
Test the oil mixture on a small area of each plant type before treating extensively. Some plants are more sensitive to oils than others, and it’s better to discover sensitivity issues on a single leaf rather than an entire plant.
Timing and Weather Considerations
Weather conditions play a crucial role in the success of horticultural oil treatments for whiteflies on plants. Apply oils during cool, cloudy conditions when temperatures are between 40-80°F. Hot, sunny weather can cause oils to damage plant tissues.
Avoid applying oils when rain is expected within 24 hours. Rain can wash off the treatment before it has time to work effectively against the whiteflies. Similarly, don’t apply oils when plants are water-stressed, as this can increase the risk of plant damage.
Wind conditions matter too. Calm conditions allow for better coverage and prevent drift to non-target plants. If you must spray on a breezy day, work in sections and adjust your technique to ensure thorough coverage of all leaf surfaces.
Method 7 – Systemic Plant Treatment
For severe whitefly infestations on plants, systemic treatments offer a more aggressive approach. These products are absorbed by the plant and protect the inside out, making them particularly effective for stubborn infestations.
Understanding Systemic Insecticides
Systemic insecticides work differently from contact sprays. Instead of killing whiteflies on contact, these products are absorbed by plant roots or leaves and transported throughout the plant’s vascular system. When whiteflies feed on treated plants, they ingest the insecticide and die.
The main advantage of systemic treatments for whiteflies on plants is their long-lasting protection. A single application can provide control for several weeks or even months, depending on the product and plant species. This makes them ideal for valuable plants or severe infestations that haven’t responded to other treatments.
Systemic insecticides also reach whiteflies that hide in protected areas where sprays might not penetrate effectively. Since the entire plant becomes toxic to feeding insects, there’s nowhere for whiteflies to hide and continue reproducing.
When to Consider Systemic Options
Consider systemic treatments when dealing with persistent whitefly problems on plants that haven’t responded to gentler methods. If you’ve tried soap sprays, oils, and traps without success, a systemic approach might be necessary to break the infestation cycle.
Systemic insecticides are also worth considering for high-value plants that you can’t afford to lose. Rare houseplants, heirloom vegetables, or prized flowering plants might justify the use of stronger control methods to ensure their survival.
Indoor plants often benefit from systemic treatments because they’re in contained environments where beneficial insects are less common. Without natural predators to help control whiteflies, systemic products can provide the extra control needed to eliminate infestations.
Safety Precautions and Application Guidelines
Always read and follow label directions exactly when using systemic insecticides for whiteflies on plants. These products are more potent than natural alternatives and require careful handling to ensure safety for you, your family, and your pets.
Wear protective equipment, including gloves, long sleeves, and eye protection, when mixing and applying systemic insecticides. Work in well-ventilated areas and avoid breathing spray mist or dust from granular products.
Keep treated plants away from children and pets until the specified re-entry time has passed. Some systemic products require waiting periods before you can safely handle treated plants or harvest edible crops.
Prevention Strategies for Whiteflies on Plants
The best way to deal with whiteflies is to prevent them from becoming a problem in the first place. Good prevention strategies can save you time, effort, and the stress of dealing with established infestations.
Regular Plant Inspection Routines
Developing a routine for checking your plants is one of the most effective ways to prevent serious whitefly problems. Set aside time each week to carefully examine your plants, paying special attention to the undersides of leaves where whiteflies like to hide.
Look for early warning signs like tiny white specks on leaf undersides, sticky honeydew deposits, or yellowing leaves. Catching whiteflies on plants early makes treatment much easier and more effective than waiting until you have a full-blown infestation.
Keep a simple log of your plant inspections, noting any problems you find and the treatments you apply. This record helps you track which plants are most susceptible to whiteflies and which treatments work best in your specific situation.
Proper Plant Spacing and Air Circulation
Good air circulation is crucial for preventing whitefly problems on plants. These pests thrive in warm, humid, stagnant air conditions, so improving airflow around your plants makes your space less attractive to them.
Space plants appropriately to allow air to move freely between them. Overcrowded plants create the perfect environment for whiteflies to establish and spread quickly from plant to plant. If necessary, relocate some plants to improve spacing.
Use fans to improve air circulation in indoor growing areas. Even a small fan can make a significant difference in reducing humidity and creating conditions that whiteflies find less favorable for reproduction and development.
Companion Planting for Natural Deterrence
Certain plants naturally repel whiteflies and can help protect more vulnerable species when planted nearby. Marigolds, basil, and nasturtiums all produce compounds that whiteflies find unappealing.
Catnip is another excellent companion plant for deterring whiteflies on plants. Research has shown that catnip can be even more effective than some commercial repellents, and it’s completely safe for organic gardens.
Consider interplanting susceptible crops with natural repellent plants. For example, planting basil near tomatoes not only helps with whitefly control but also improves the flavor of your tomatoes – a win-win situation.
Common Mistakes When Treating Whiteflies
Even well-intentioned plant lovers can make mistakes when dealing with whitefly infestations. Avoiding these common errors can help you achieve better results and protect your plants from unnecessary damage.
Over-application of Chemical Treatments
One of the biggest mistakes people make is using too much pesticide when treating whiteflies on plants. More isn’t always better, and over-application can harm your plants, kill beneficial insects, and even make whitefly problems worse by eliminating their natural predators.
Always follow label directions for dilution rates and application frequency. If a treatment isn’t working at the recommended rate, the problem usually isn’t the concentration – it’s more likely an issue with coverage, timing, or the specific product you’re using.
Resist the temptation to mix different pesticides or apply them more frequently than recommended. This approach rarely improves results and significantly increases the risk of plant damage and environmental harm.
Ignoring Beneficial Insects
Many people focus so intensely on killing whiteflies that they forget about protecting the beneficial insects that naturally control these pests. Using broad-spectrum pesticides can wipe out helpful species and actually make whitefly problems worse in the long run.
Before reaching for harsh chemicals, consider whether beneficial insects might already be working to control whiteflies on plants in your garden. Look for ladybugs, lacewings, and tiny parasitic wasps that might be helping with natural control.
Choose targeted treatments that specifically affect whiteflies while sparing beneficial species. Insecticidal soaps, oils, and yellow sticky traps are all examples of treatments that can control whiteflies without devastating beneficial insect populations.
Treating Only Visible Adults
A common mistake is focusing treatment efforts only on the adult whiteflies you can see flying around your plants. While adult control is important, whitefly eggs and immature stages on leaf undersides are often the bigger problem.
Whiteflies on plants go through several life stages, and each stage may require different treatment approaches. Eggs are particularly resistant to many treatments, which is why repeated applications over several weeks are usually necessary for complete control.
Make sure your treatment program addresses all life stages of whiteflies. This might mean combining different methods – for example, using sticky traps for adults while applying soap sprays to control eggs and young nymphs on leaves.
When to Call Professional Pest Control
While many whitefly problems can be handled with DIY methods, there are situations where professional help might be necessary. Knowing when to call in the experts can save you time, money, and potentially valuable plants.
Signs of Severe Infestation
If whiteflies on plants have spread throughout your entire collection despite your best treatment efforts, it might be time for professional intervention. Severe infestations that affect multiple plant species or entire growing areas often require more aggressive treatment approaches.
Professional pest control operators have access to more potent products and application equipment that might be necessary for severe infestations. They also have the experience to develop comprehensive treatment programs that address all aspects of whitefly control.
Consider professional help if you’re seeing signs of secondary problems caused by whiteflies, such as sooty mold growth from honeydew deposits or virus transmission between plants. These complications can be difficult to manage without professional expertise.
Protecting Valuable or Rare Plants
High-value plants deserve professional care when dealing with serious pest problems. If you have rare houseplants, valuable bonsai specimens, or irreplaceable family heirloom plants, the cost of professional treatment is often justified by the value of what you’re protecting.
Professional pest control specialists can often provide more targeted treatments that effectively control whiteflies on plants while minimizing stress to valuable specimens. They also have experience working with sensitive or unusual plant species that might react poorly to standard treatments.
Some rare plants require specialized care that goes beyond typical whitefly control. Professional services can provide integrated pest management programs that address whiteflies while maintaining the specific growing conditions these special plants need.
Recurring Whitefly Problems
If you’ve successfully treated whiteflies on plants multiple times but they keep coming back, there might be underlying issues that require professional diagnosis. Recurring infestations often indicate problems with growing conditions, nearby sources of re-infestation, or ineffective treatment approaches.
Professional pest control operators can help identify the source of recurring whitefly problems and develop long-term management strategies. They might discover issues you’ve missed, such as hidden breeding sites or environmental factors that favor whitefly development.
Consider professional consultation if whitefly problems are affecting your enjoyment of gardening or causing significant stress. Sometimes, an expert assessment can provide peace of mind and practical solutions that make plant care enjoyable again.
How to Get Rid of Whiteflies (4 Easy Steps!)
FAQs About Whiteflies on Plants
What are whiteflies, and how do I identify them?
Whiteflies on plants are tiny, white-winged insects about 1/16 inch long that look like small moths or flying dandruff. When you shake an infected plant, the pollen will fly up in a small cloud. You’ll also notice sticky honeydew on leaves and yellowing foliage where they’ve been feeding.
How fast do whiteflies reproduce on plants?
Whiteflies reproduce very quickly, which is why infestations can get out of hand fast. Female whiteflies can lay up to 400 eggs in their lifetime, and it takes only 2-4 weeks for eggs to develop into egg-laying adults. This rapid reproduction cycle means you need to act quickly when you spot them.
Can whiteflies kill my houseplants?
Yes, severe whitefly infestations can kill plants, especially smaller or weaker specimens. While a few whiteflies on plants won’t cause immediate death, large populations can drain so much sap that plants become severely weakened, stop growing, and eventually die from stress.
Are whiteflies the same as aphids?
No, whiteflies and aphids are different pests, though they’re related and cause similar damage. Whiteflies have wings and fly when disturbed, while aphids are usually wingless and stay put. Both suck plant sap and produce sticky honeydew, but they require different treatment approaches.
What’s the fastest way to get rid of whiteflies on plants?
The fastest method is usually insecticidal soap spray combined with yellow sticky traps. The soap kills whiteflies on contact, while traps catch flying adults. However, you’ll need to repeat treatments every 3-5 days for 2-3 weeks to catch newly hatched insects and break the breeding cycle.
Can I use regular dish soap to make insecticidal soap?
You can use pure liquid dish soap, but avoid anything with fragrances, degreasers, or moisturizers. Look for simple, gentle dish soaps or buy commercial insecticidal soap for the best results. Always test on a small area first to make sure your plants can tolerate the treatment.
Do whiteflies prefer certain types of plants?
Yes, whiteflies on plants prefer soft, tender growth over tough, waxy leaves. They commonly attack tomatoes, peppers, cucumbers, geraniums, fuchsias, hibiscus, and poinsettias. However, they can infest almost any plant when populations are high and preferred hosts aren’t available.
How do I prevent whiteflies from coming back?
Prevention involves regular plant inspection, proper spacing for good air circulation, quarantining new plants for 2-3 weeks, and avoiding over-fertilizing with nitrogen (which creates the tender growth whiteflies love). Consider companion planting with natural repellents like marigolds and basil.
Are yellow sticky traps safe around pets and children?
Yellow sticky traps are generally safe since they don’t contain pesticides, just non-toxic adhesive. However, the sticky coating can get on fur or skin and be difficult to remove. Place traps where curious pets and children can’t easily reach them.
When should I throw away a plant with whiteflies?
Consider disposing of a plant only if it’s severely infested, other plants keep getting re-infected from it, or it’s not responding to multiple treatment attempts. Always try treatment first – most whitefly problems on plants can be solved with persistence and the right approach.
Whiteflies are frustrating, but they’re not unbeatable. Once you know how to spot them early, understand why they target certain plants, and use a mix of safe controls—like soaps, oils, traps, and good growing habits—you can bring even a bad outbreak back under control. The key is consistency rather than one heavy-handed treatment. From here, consider saving this guide to refer to during the season and, if you’re still seeing problems, follow up with a more focused guide on ongoing prevention and monitoring.








Thanks for sharing. I read many of your blog posts, cool, your blog is very good.
Can you be more specific about the content of your article? After reading it, I still have some doubts. Hope you can help me.